1

carciano park 6

STRESA - 24-06-2023 -- La prossima stagione turistica di Stesa avrà un posteggio in più. , meglio, la costruzione di un parcheggio vero e proprio -con due piani fuori terra- al posto dello serrato adibito alla sosta estemporanea al Lido di Carciano, dove si trova la piscina, al di sotto del benzinaio Agip affacciato sulla ss33.

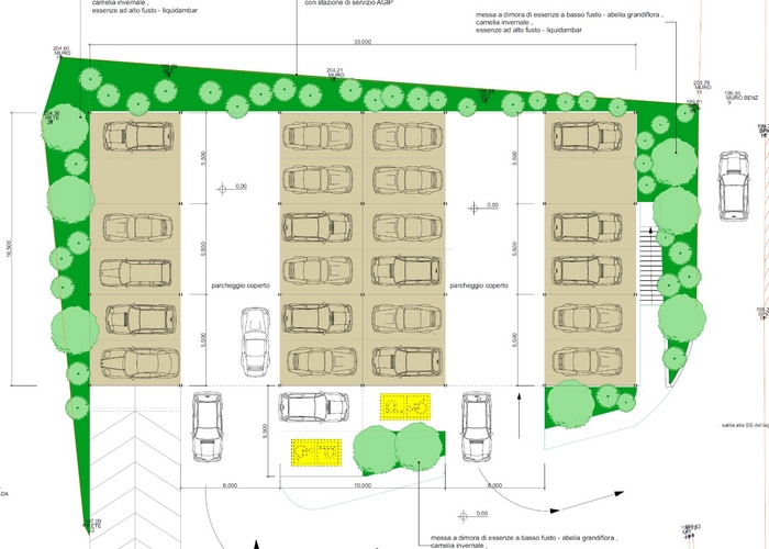
In questi giorni è partita la procedura per individuare l’impresa che effettuerà i lavori e realizzerà il progetto commissionato dalla società partecipata Stresa Servizi all’architetto verbanese Autilio D’Andria. Sarà un parcheggio “leggero”, che costerà (da progetto, salvo ribassi o risparmi) circa 400.000 euro per 49 stalli (attualmente sono poco più d’una ventina) distribuiti su due piani. La struttura portante è prefabbricata di metallo per accogliere i due livelli di sosta. Il primo, quello a raso all’altezza del lido, sarà sormontato da un secondo, raggiungibile con una rampa di circa il 20% di pendenza. Il rivestimento delle facciate sarà in corten, materiale approvato dalla Soprintendenza che l’ha giudicato compatibile con il delicato contesto paesaggistico del golfo Borromeo. Per mitigare l’impatto visivo il progettista, che già aveva lavorato negli anni ‘90 al lungolago di Pallanza con l’illustre botanico Pietro Hillebrand, ha scelto alcune essenze locali o che richiamano il patrimonio verde del lago: camelie, corniolo giapponese e cipresso.

carciano_park_4.jpgcarciano_park_3.jpgcarciano_park_5.jpgcarciano_park_6.jpgcarciano_park_1.jpgcarciano_park_2.jpg

 


Su questo sito utilizziamo cookie tecnici e, previo tuo consenso, cookie di profilazione, nostri e di terze parti, per proporti pubblicità in linea con le tue preferenze. Se vuoi saperne di più o prestare il consenso solo ad alcuni utilizzi clicca qui. Se prosegui nella navigazione di questo sito acconsenti l'utilizzo dei cookie.